Sreeram Viswanath
Published on: Mar 28, 2026
FMB Sketch Online
Field Measurement Book (FMB) sketch is a compilation of map data that is stored in volumes by the Government at the respective Tahsildar office. In FMB’s, the individual survey number sketches are maintained at a scale of 1:1000 or 1:2000. Each survey number is divided into various sub-divisions. Each sub-division number is owned by a property owner. FMB denotes the precise dimensions of the land. Hence, in a property purchase transaction, FMB sketch is used to verify the land measurements and boundaries of the property.
Obtaining FMB Sketch
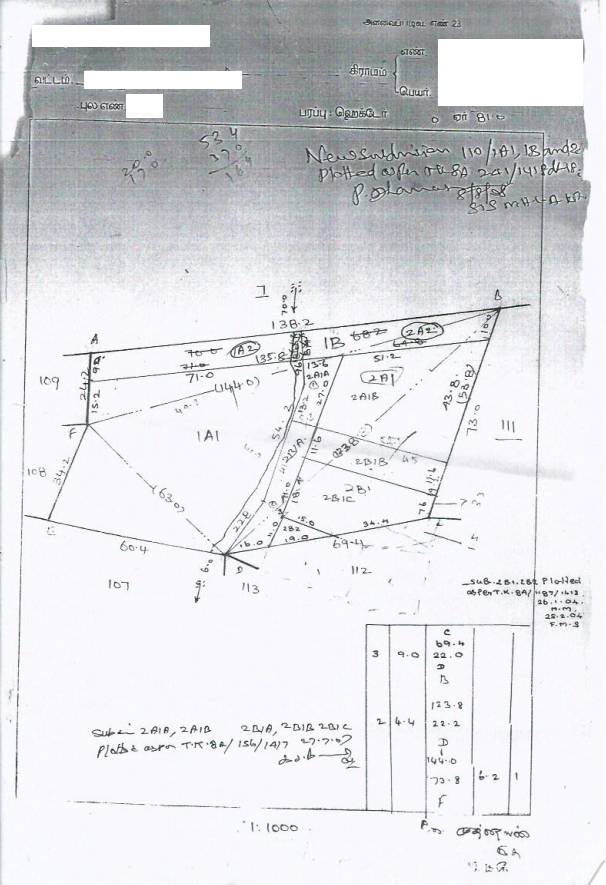
The concerned Tahsildar office maintains the FMB sketch. To obtain FMB sketch or to request the concerned Tahsildar office to survey the property, a request must be submitted in writing to the concerned Tahsildar. A sample FMB sketch for reference:

FMB Sketch Sample
Components of FMB
The following are the various components of FMB:
- G-line
- F-line
- Subdivision lines
- Ladder
- Extension lines
- Neighboring field survey numbers
These components are further discussed in detail:
G-line
G-line outlines the making of the entire sketch. It is an imaginary line that converts the sketch into various sizes of triangles to fix the boundary lines and the various points in the sketch. Errors in G-line will affect all the pertinent calculations.
F-line
F-line signifies the actual field boundaries in the outer lines of the sketch. Its points are fixed with reference to its offset distance from the G-line.
Subdivision Lines
Subdivision lines demarcate a small portion of land within a survey number. A sub-divisional extent of a polygon is directly correlated to the extent found for the particular subdivision. The subdivision lines are generally defined through a ladder, or the likes of it; except for the graphical representation in FMB.
Ladder
The field line points are defined with reference to an offset distance from the G-line. The offset distance may deviate to the left or right side of the G-line. This left or right angle deviation is highlighted by the ladder. Converting the ladder details into electronic data can produce the outline of the FMB sketch.
Extension Lines
Each survey number field forms a crucial part of the village map, and as a result of it, other fields surround each sketch. The precise direction wherein the subject field joins the neighboring field is depicted on the FMB as an extension line.
Neighbouring Field Survey Numbers
The other fields surround each of the survey sketches. These surrounding field numbers are marked around each FMB. This facilitates the conversion of FMB’s into D-sketches, and so on and so forth.
How to Get FMB Sketch?
To obtain an FMB sketch for a property, the concerned Tahsildar office must be approached by the landowner with a request. There is no online facility for viewing FMB sketch in Tamil Nadu currently. In case the FMB sketch is outdated or not available, a request can be made for a survey of the property. To obtain FMB sketch for a property, get in touch with an
IndiaFilings Property Advisor
at
sales@indiafilings.com